观赏植物病虫害详细用药指南,教你7种基本的药剂使用技巧
养花的过程中难免会遇到各种病虫害,各位养花的花友家里要注意备上常用的杀菌药和杀虫剂,并要学会正确的使用方法和使用时机,在病虫害暴发初期喷,或提前喷洒预防,就能发挥最好的效果。
植物病害和虫害要以预防为主,不要等到爆发虫害之后,才想起来要喷药。最起码要在病虫害初期及时处理,否则病虫害严重了,植物长得瘦弱了,这个时候植物也被祸害得差不多了,再喷药也没啥效果。
下面就介绍7种非常实用的基本药剂,大多都是毒性比较低的杀菌药和杀虫剂。
1、吡虫啉
吡虫啉是一种高效低毒的杀虫剂,它有较长的有效期。可以对付观赏植物常见的虫害,包括蚜虫、蓟马、白粉虱等。这类害虫都会吸取植物的汁液,导致植物生长瘦弱,会影响植物的开花和结果。
除此之外,吡虫啉还可以用来对付跳甲、潜叶蝇或潜叶蛾等害虫。不过它对红蜘蛛、蚧壳虫(成虫)或线虫就没有什么效果。
吡虫啉对付害虫机制就是破坏害虫的神经中枢系统,让害虫麻痹而死。
吡虫啉也可以和其他的药剂混合起来,这会产生多种杀虫或杀菌效果,包括常见的联苯吡虫啉、吡虫噻嗪酮或氟啶吡虫啉等,有时候就会和各种杀菌剂混合起来,就能产生良好的杀菌效果和杀虫效果,大家去购买吡虫啉的时候,也看一下他们的主要有效成分。
就比如家里常见的月季花、扶桑花和木槿花等,特别容易感染蚜虫,发现虫害,只需要喷洒一次吡虫啉,就可以将虫害清除干净了,吡虫啉不仅能够对害虫产生快速的清除效果,还可以让植物吸收药效,植物就会产生抵抗能力。
吡虫啉要在温暖的季节喷洒,如果温度低于10度以下,那它就没有什么效果,就是因为它具有高温活性。温度越高,它的活性就越强。喷洒的时候就要对植物的叶面、叶背喷洒均匀,也可以用来灌根,达到双重防护的效果。
上面是常见害虫,分别是红蜘蛛、白粉虱、红蜘蛛、红蜘蛛、青虫、飞蛾、蚜虫、蚜虫和蚜虫
很多花友家里都会备上一些吡虫啉,不过,如果家里的植物经常感染虫害,就不要一直单独喷洒吡虫啉,否则害虫会产生抗药性,可以偶尔用噻嗪酮、高效氯氰菊酯、联苯菊酯、溴氰菊酯、阿维菌素或啶虫脒等交替喷洒。
要提醒一下大家,吡虫啉不能和一些碱性的药剂混合使用,比如吡虫啉不能和波尔多液或石硫合剂一起使用。
2、阿维菌素
阿维菌素是我国最常见的一种广谱低毒的杀虫剂,广泛用于蔬菜、农作物、果树和花卉等。喷洒阿维菌素之后,害虫就没有吃的胃口了,就会慢慢饿死。植物感染虫害之后,喷洒阿维菌素,需要过2~4天之后,这些害虫才会挂掉。
阿维菌素可以防治植物花卉常见的害虫,包括常见的蚜虫、潜叶蝇、卷叶螟、线虫(土壤下的)、蓟马、菜心虫、红蜘蛛(早期)。如果想要更好清除这类害虫,还可以选择常见的阿维吡虫啉(阿维菌素和吡虫啉复配的药剂)。或者选择阿维菌素和吡虫啉混合使用。
上面是蚧壳虫
有些朋友给植物喷洒阿维菌素的时候,却是一点效果都没有,那有可能这些植物叶片有蜡质层,就包括常见的橡皮树、月季等,阿维菌素药剂喷洒在叶片上的时候,就没办法粘附上去,要混合一些有机硅(或选其他农药助剂,直接网购或到农资店购买),增加粘附效果。
使用的时候一般都是兑水1000倍,也就是1毫升(或1克)的药剂,混合1000毫升的清水。(具体要看说明,1.8%浓度的是1000倍,3%浓度的是1500~2000倍。)
另外有一点需要提醒大家,如果温度特别高了,使用阿维菌素效果就会减弱,一般是在25度以下使用。喷洒阿维菌素一定要选择早上或傍晚,配置好的药剂要尽快使用,否则药性会不断降低,储存这种药剂一定要避光、遮阴处。
温度特别高了,可以使用甲维盐代替阿维菌素,它是基于阿维菌素研发出来的新型农药,效果更好。
上面的植物感染了红蜘蛛
有些朋友说阿维菌素对红蜘蛛的清除效果特别弱,那很有可能就没有买到比较新型的复配药剂,如果是专门用来对付红蜘蛛,那可以使用常见的阿维乙螨唑或阿维螺螨酯就可以对红蜘蛛的虫卵以及成虫,都会有较好的效果。
3、吡唑醚菌酯(唑菌胺酯)
很多朋友的植物花卉感染病害之后,我通常会推荐一种杀菌药,那就是嘧菌酯。现在有很多新研发的杀菌剂里,通常都会含有嘧菌酯(有效成分),就是因为它的杀菌效果特别好。
吡唑醚菌酯可以清除植物花卉最常见的病害,能让植物产生较好的免疫效果,也能促进植物生长。
白粉病
吡唑醚菌酯可以应用到各种观赏花卉上面,甚至各种果树蔬菜也可以用到这种杀菌药,它可以用来对付常见的白粉病、霜霉病、炭疽病、褐斑病、立枯病、锈病和叶枯病等,基本是常见的真菌病害都能用这药。只要你家里养花比较多,那这种杀菌药就值得备上一些。
吡唑醚菌酯给植物花卉喷洒的时候,就可以兑水1500~2000倍,也就是1毫升的吡唑醚菌酯,就要混合1500毫升到2000毫升的清水,搅拌均匀后,对植物的叶片和枝条均匀喷洒。
常见病害图谱
提醒一下大家,虽然这种杀菌药效果特别好,但也不要一直单独使用一种药剂,否则会产生抗药性,或者说药效会不断减缓。在植物感染病害初期或没有感染病害之前,就可以定期喷洒,起到很好的保护植物的作用,防止植物感染真菌,或在病菌初期喷洒,将病害清除干净。
给植物喷洒吡唑醚菌酯的时候,可以直接喷洒在叶面上,它有较好的渗透性,会被植物吸收,可以促进植物生长,也能让植物产生更好的抵抗能力。
除了吡唑醚菌酯,大家还可以准备常见的其他杀菌药,包括三唑酮、戊唑醇、甲基硫菌灵或代森锰锌。
4、甲基硫菌灵(甲基托布津)
甲基硫菌灵是特别常见的一种广谱低毒的杀菌剂,养花的朋友也可以备上一些,它一般会和代森锰锌交替使用,可以产生较好的效果,具有非常好的预防和治疗作用。(植物没有病害时,可用这两种药每隔一个月交替喷一次,有很好的防病害效果)
其实甲基硫菌灵的效果和多菌灵是很相似的,因为甲基硫菌灵给植物喷洒之后,之所以能被植物吸收,就是需要转化成多菌灵,才能发挥效果,可以对付常见的白粉病、炭疽病、锈病、褐斑病等真菌病害。
如果想要增强它的杀菌效果,可以将甲基硫菌灵和代森锰锌、百菌清、嘧菌酯恶霉灵、戊唑醇、三唑酮等杀菌药混合使用。但是不要和多菌灵、苯菌灵交替用或混用,因为它们的效果是差不多的,
注意,甲基硫菌灵不能和碱性药剂一起用,就包括常见的波尔多液、石硫合剂,也不能和含铜制剂一起用。
5、杀红蜘蛛的杀虫剂
红蜘蛛放大图
很多花友是在室内养花,室内的环境通风不好,空气比较干燥,就比较容易感染红蜘蛛,这个时候就可以用到常见的哒螨灵、阿维乙螨唑、爱卡螨或联苯肼酯等,可以选其中的两三种交替喷洒,每隔两到三天喷洒一次。
特别严重的红蜘蛛
因为红蜘蛛每隔三天就会繁殖一代,只要保证连续喷洒三次左右,就可以将虫害清除干净了,喷洒的时候,要对叶面叶背喷洒均匀,要注意重点照顾叶子背面和腋芽处。喷洒的浓度要只是看说明书,一般是1000倍到1500倍左右。
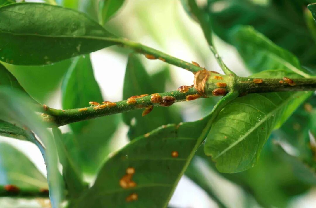
6、蚧壳虫杀虫剂
养植物花卉的时候,最烦的就是感染蚧壳虫(介壳虫),如果是在虫害早期,就是还没有变成成虫,只是一些幼虫和虫卵,还比较容易清除,这个时候即便是喷洒酒精、阿维菌素或吡虫啉都有一定的效果。
上面是蚧壳虫
但是等虫害变严重了,那这个时候就需要使用一些高效的杀虫剂。这是因为蚧壳虫的背上会有一层蜡质壳,会使得大部分的农药无法渗透进去,也就没办法发挥杀虫效果了。
想要清除蚧壳虫,比较有效的杀虫剂就包括噻嗪酮、氯氰毒死蜱(中等毒)、啶虫脒(有异味)或必治,可以选其中的2~3种,交替喷洒,一般要每隔5~7天喷洒一次。
7、室内用药防护指南
在室内养护的各种盆栽植物,包括常见的多肉植物、开花植物和各类观叶植物等,一般都不会直接喷杀虫剂或杀菌药。
因为室内通风不好,如果没办法将植物搬到通风好的地方喷洒各种药剂,那对人的身体都是不好的,所以一般会使用一些固体类的内吸性杀虫剂,就是一些颗粒杀菌药或杀虫剂撒在土壤里,后期正常浇水,药效慢慢被植物吸收,从而让植物产生毒性或抗菌性,从而将害虫毒死,去除病害。
清除害虫最常用到的就是各种小白药,包括呋虫胺或吡虫啉,大家注意看有效成分就可以了。而杀菌类的就可以用到恶霉灵,也是直接撒在盆土上面,适当掩埋土壤就可以了。
如果土壤里有各种地下害虫。就包括线虫、蚂蚁、小黑飞、蛴螬或蝼蛄等,可以用到土虫丹或呋虫胺。
小贴士:
无论是哪种杀虫剂或杀菌药,肯定都是有毒性的,一定要注意戴上手套、口罩,在通风处喷洒,或喷洒药剂后洗手。小白药、小紫药这类药剂撒盆土上可适当掩埋,避免直接接触,在盆栽上使用还可以,地栽植物尽量不用。
